Снорклинг в Марса Алам - Часовой форум Watch.ru
 
Вернуться назад   Часовой форум Watch.ru > Хобби и увлечения > Путешествия форумчан
Регистрация | Забыли пароль?

Путешествия форумчан

Текущий рейтинг темы — 
Ответ
 
Опции темы
  #1  
Старый 28.03.2019, 19:46
Аватар для Alexgotvald
Alexgotvald Alexgotvald вне форума  
Moderator
 
Регистрация: 15.05.2012
Адрес: Россия, Москва
Сообщений: 3,798
Сказал(а) спасибо: 5,382
Поблагодарили 47,064 раз(а) в 7,930 сообщениях
Снорклинг в Марса Алам

Терпение моё лопнуло!
Я еду в Египет.
Без рыбок жизнь скучна, фотокамера простаивает и вообще.

Соответственно, выбор остановил на Марса Алам.
Друзья, кто может посоветовать, в какую бухту курорта прицеливаться?
Может, и отель кто-нибудь может посоветовать.
Чтобы была возможность с рассвета до заката лазить вдоль рифов и фотографировать подводные красоты.

В интернете рекомендуют бухту Абу Даббаб. Но там изрядное количество отелей. Сложно выбрать.
По отрывочным описаниям затруднительно нарисовать в воображении карту бухты, представить её размеры и устройство, чтобы определиться, где будет наиболее удачно поселиться.

Помогите с выбором и скоро в теме будет куча фото
__________________
Полетаем?
Ответить с цитированием
  #2  
Старый 28.03.2019, 23:26
Аватар для BONIVUR
BONIVUR BONIVUR вне форума  
Moderator
 
Регистрация: 22.08.2011
Адрес: Петрозаводск
Сообщений: 693
Сказал(а) спасибо: 5,031
Поблагодарили 4,302 раз(а) в 1,985 сообщениях
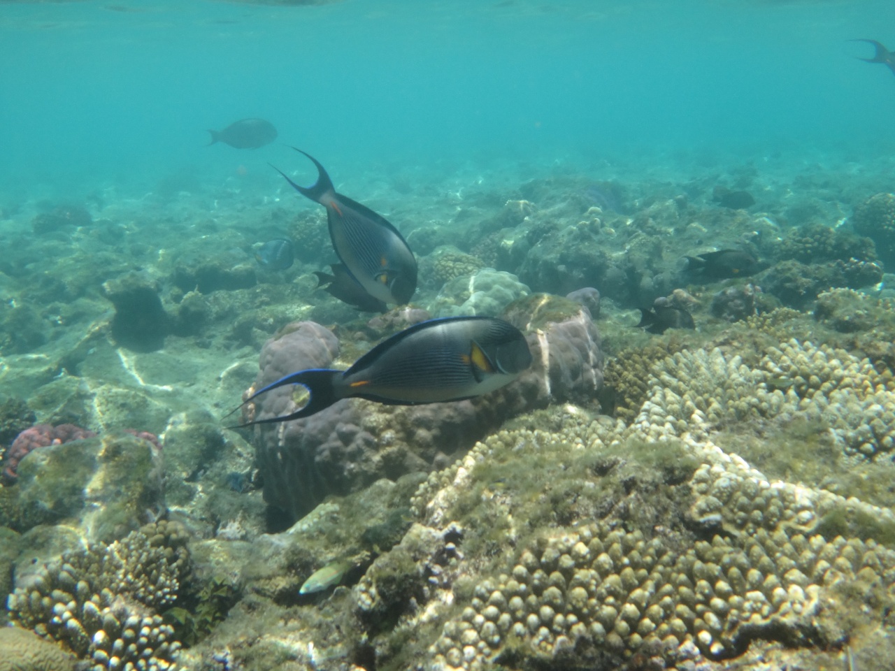
Был я как то в отеле, где пляж отеля это был риф, днем туда куча яхт приплывала с фотографами такими.Но даже примерно не помню где это)
Миниатюры
Нажмите на изображение для увеличения
Название: DSC01047.jpg
Просмотров: 393
Размер:	555.1 Кб
ID:	2530285   Нажмите на изображение для увеличения
Название: DSC01046.jpg
Просмотров: 385
Размер:	609.4 Кб
ID:	2530286   Нажмите на изображение для увеличения
Название: DSC00986.jpg
Просмотров: 470
Размер:	369.0 Кб
ID:	2530287   Нажмите на изображение для увеличения
Название: DSC00973.jpg
Просмотров: 378
Размер:	613.2 Кб
ID:	2530288   Нажмите на изображение для увеличения
Название: DSC01044.jpg
Просмотров: 407
Размер:	403.0 Кб
ID:	2530289   Нажмите на изображение для увеличения
Название: DSC01043.jpg
Просмотров: 390
Размер:	423.1 Кб
ID:	2530290   Нажмите на изображение для увеличения
Название: DSC01042.jpg
Просмотров: 397
Размер:	516.0 Кб
ID:	2530291  
Ответить с цитированием
Этот пользователь сказал Спасибо! BONIVUR за это сообщение:
Ural287 (16.06.2019)
  #3  
Старый 29.03.2019, 11:05
Аватар для taxamata
taxamata taxamata вне форума  
Форумчанин
 
Регистрация: 20.08.2011
Адрес: Moscow Russia
Сообщений: 4,365
Сказал(а) спасибо: 11,417
Поблагодарили 20,119 раз(а) в 3,011 сообщениях
красное море+++ но как добираться?
или пустили самолеты в египет? сам думаю об иордании.
а на рифе стоит куст отелей в табе.вход в море только по мосткам через риф,
и один узкий прорубленный проход
Ответить с цитированием
  #4  
Старый 29.03.2019, 11:28
Celentano Celentano вне форума  
Временно заблокирован | Temporarily blocked
 
Регистрация: 21.06.2007
Адрес: riverside
Сообщений: 2,701
Сказал(а) спасибо: 3,507
Поблагодарили 10,451 раз(а) в 3,879 сообщениях
А Минск?
Ответить с цитированием
  #5  
Старый 29.03.2019, 12:27
Аватар для BONIVUR
BONIVUR BONIVUR вне форума  
Moderator
 
Регистрация: 22.08.2011
Адрес: Петрозаводск
Сообщений: 693
Сказал(а) спасибо: 5,031
Поблагодарили 4,302 раз(а) в 1,985 сообщениях
Цитата:
Сообщение от taxamata Посмотреть сообщение
красное море+++ но как добираться?
или пустили самолеты в египет?
Только вчера видел предложение, ток через Турцию))Можно кстати наверное и через Минск))
Полвечера вспоминал отель, но он оказался в Шарме.Хотя уж рыбок там видимо везде хватает, но полковнику лучше знать где они лучше)
Ответить с цитированием
  #6  
Старый 29.03.2019, 16:49
Аватар для Alexgotvald
Alexgotvald Alexgotvald вне форума  
Moderator
 
Регистрация: 15.05.2012
Адрес: Россия, Москва
Сообщений: 3,798
Сказал(а) спасибо: 5,382
Поблагодарили 47,064 раз(а) в 7,930 сообщениях
Сейчас у нас предлагают два варианта: через Анталию или через Минск
__________________
Полетаем?
Ответить с цитированием
  #7  
Старый 30.03.2019, 16:45
Аватар для Vano058
Vano058 Vano058 вне форума  
Новичок
 
Регистрация: 05.06.2013
Адрес: Москва
Сообщений: 69
Сказал(а) спасибо: 45
Поблагодарили 164 раз(а) в 39 сообщениях
В Марса-Алам из Москвы нет рейсов. Через Стамбул летает "Пегасус" до Шарма, через Анталья "Онур" также с Шарм. Раньше, до закрытия Египта, лучший риф был в районе отеля Хилтон Нубиан. В свое время встретил там дюгонь, черепах более метра в диаметре. Как вариант, "Туркиши" из Москвы в Хургаду через Стамбул, далее трансфер (часа 3 на микроавтобусе).
Ответить с цитированием
Этот пользователь сказал Спасибо! Vano058 за это сообщение:
Alexgotvald (02.04.2019)
  #8  
Старый 02.04.2019, 11:32
Аватар для Alexgotvald
Alexgotvald Alexgotvald вне форума  
Moderator
 
Регистрация: 15.05.2012
Адрес: Россия, Москва
Сообщений: 3,798
Сказал(а) спасибо: 5,382
Поблагодарили 47,064 раз(а) в 7,930 сообщениях
Цитата:
Сообщение от Vano058 Посмотреть сообщение
В Марса-Алам из Москвы нет рейсов. Через Стамбул летает "Пегасус" до Шарма, через Анталья "Онур" также с Шарм. Раньше, до закрытия Египта, лучший риф был в районе отеля Хилтон Нубиан. В свое время встретил там дюгонь, черепах более метра в диаметре. Как вариант, "Туркиши" из Москвы в Хургаду через Стамбул, далее трансфер (часа 3 на микроавтобусе).
Купил Пегас. Через Турцию. Стыковка в Анталии 2 часа на Хургаду и там 3,5 часа до Марса Алам.
Отель Three Corners Equinox.
Буду плавать вдоль рифа к Хилтону и назад. Как раз, через бухту Абу Даббаб.
__________________
Полетаем?
Ответить с цитированием
  #9  
Старый 02.04.2019, 20:08
Oley Oley вне форума  
Форумчанин
 
Регистрация: 07.09.2009
Адрес: Россия, Москва
Сообщений: 382
Сказал(а) спасибо: 536
Поблагодарили 149 раз(а) в 114 сообщениях
Из Москвы прямой до Каира открыли
Ответить с цитированием
  #10  
Старый 02.04.2019, 21:45
Аватар для Alexgotvald
Alexgotvald Alexgotvald вне форума  
Moderator
 
Регистрация: 15.05.2012
Адрес: Россия, Москва
Сообщений: 3,798
Сказал(а) спасибо: 5,382
Поблагодарили 47,064 раз(а) в 7,930 сообщениях
Цитата:
Сообщение от Oley Посмотреть сообщение
Из Москвы прямой до Каира открыли
Да уж давно.
Но это не в ту степь
__________________
Полетаем?
Ответить с цитированием
Ответ
Метки
египет, марса алам, снорклинг


Быстрый переход

Похожие темы
Тема Автор Раздел Ответов Последнее сообщение
Про сближение Марса и Сатурна с Землёй Yelly Офтопик 1 06.06.2016 07:41
часы для Марса Sergei G Необычные часы 0 28.10.2010 23:01


Часовой пояс UTC +3, время: 06:05.